Von: Marc Brehme
Gemeinderat gibt grünes Licht für Baupläne
Neuer Nahversorger kommt: EDEKA will neuen Verbrauchermarkt in Großenseebach bauen

Seit der ehemalige "Frischemarkt Schaub" in der Hauptstraße im Juni 2015 nach 30 Jahren seine Pforten schloss, hat Großenseebach keinen sogenannten Nahversorger mehr. Zwar gibt es in der Metzgerei Schorr neben Fleisch- und Wurstwaren auch andere Grundnahrungslebensmittel wie Eier, Nudeln, Marmeladen, Gemüsekonserven und beschränkt auch Backwaren u. ä. zu erstehen - eine vollständige Rundumversorgung ist das jedoch nicht. Daher versucht die Gemeinde schon seit Jahren, wieder einen Supermarkt im Ort anzusiedeln. Und ganz nach dem Motto: „Steter Tropfen“ höhlt den Stein“ stehen die Zeichen nun gut, dass sich das in Zukunft ändern könnte.
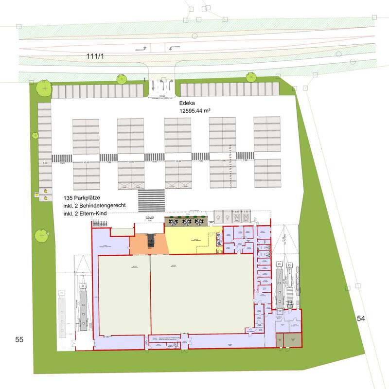
Der "Nahversorger vor Ort" und zugleich "regionaler Großhandelsbetrieb" EDEKA möchte am Ortsrand des Dorfes einen Markt errichten. Das Bauvorhaben des Unternehmens umfasst die Errichtung eines EDEKA-Verbrauchermarktes mit einer Gesamt-Verkaufsfläche von ca. 1.800 m² (1200 qm Hauptmarkt & 600 qm Getränkemarkt) sowie 135 Stellplätzen. Ebenfalls angegliedert ist laut aktuell vorgestellter Planung ein Bäcker inkl. Café mit Außensitzflächen.
Der Vorhabenträger hatte das geplante Projekt bereits in einer nichtöffentlichen Sitzung im Gemeinderat vorgestellt; ein detaillierter Vorhabenplan liegt dem Gremium bereits vor. In der Gemeinderatssitzung am 16. Oktober 2025 präsentierte Susanne Wolf, Regionalleiterin des Geschäftsbereichs Expansion der Edeka Grundstücksgesellschaft Nordbayern-Sachsen-Thüringen mbH, die Pläne erstmals auch öffentlich.
Als besondere Vorzüge hob sie bei der Präsentation großzügige Parkplätze, niedrige Regale (max. 1,60 m hoch) - ein Plus gerade für ältere oder kleiner Menschen zum bequemen Einkaufen -, eine große Frischetheke für Obst und Gemüse und den Sitzbereich des geplanten Cafés auch als Treffpunkt hervor. Außerdem würden in einem Markt der geplanten Größe in der Regel auch etwa 50 Arbeitsplätze entstehen, so Wolf.
Bürgermeister Jürgen Jäkel hatte nach der Präsentation auch noch einige Wünsche für das Bauprojekt. Es wäre schön, so der Rathaus-Chef, wenn auch ein Bankautomat und eine Poststelle zum Serviceangebot des Marktes gehören würden. Auch eine andere Lage des Bäckerei-Cafés - mit Blick ins Grüne statt zur Bundesstraße - wäre sicherlich eine Diskussion bei der finalen Planung wert. Die EDEKA-Vertreterin verwies unter anderem auf die bestehende Möglichkeit des Geldabhebens der Kunden beim Einkauf in einem EDEKA-Markt, versprach aber auch, die Wünsche mitzunehmen. Die finale Entscheidung über deren Umsetzung obläge allerdings dem späteren Betreiber des Marktes, der bei einem Bewerbungs- mit anschließendem Auswahlverfahren ermittelt würde.
Entstehen soll der Markt am Ortsausgang in Richtung Weisendorf. Das gegenständliche Flurstück befindet sich südlich der Staatsstraße 2259 neben dem Blumenfeld und wird derzeit als landwirtschaftliche Ackerfläche genutzt. Da es aktuell im bauplanungsrechtlichen Außenbereich liegt, muss zwingend ein Bebauungsplan aufgestellt werden, damit das Vorhaben umgesetzt werden kann.

In seiner heutigen Sitzung hat der Gemeinderat beschlossen, grünes Licht und die notwendigen rechtlichen Vorarbeiten in Auftrag zu geben. Dazu gehörte der einstimmige Beschluss des Gremiums, den entsprechenden vorhabenbezogenen Bebauungsplan „EDEKA Großenseebach“ aufzustellen. Dann soll gleichzeitig im Parallelverfahren der Flächennutzungsplan der Gemeinde so geändert werden, dass die Fläche als sogenanntes "Sonstiges Sondergebiet" mit der Zweckbestimmung „Großflächiger Lebensmitteleinzelhandel“ mit einer entsprechenden Sonderbaufläche festgelegt wird.
Bis Interessierte im "EDEKA Großenseebach" einkaufen gehen können, wird allerdings noch einige Zeit ins Land gehen. Aktuell plant die für das Bauprojekt zuständige EDEKA Unternehmensgruppe Nordbayern-Sachsen-Thüringen (EDEKA NST) mit einer Markteröffnung Anfang 2028. Alle notwenigen Vorarbeiten für die Einleitung des Bauleitplanverfahren sowie das selbige an sich dauern für ein solches Projekt im Schnitt mindestens anderthalb Jahre. Für den Bau an sich veranschlagt das Unternehmen dann ein weiteres dreiviertel Jahr - wenn alles glatt läuft.
Mit dem Bau des Marktes in Großenseebach, den dann ein/e selbstständige/r Kauffrau/Kaufmann betreiben wird, will das Unternehmen nach eigenen Angaben seinen "Wachstums- und Investitionskurs im schwierigen Geschäftsumfeld konsequent fortsetzen.“ In einer Pressemitteilung von Mai dieses Jahres hatte EDEKA NST bekannt gegeben, "in den Jahren 2021 bis 2025 einen Rekordwert von rund 1,4 Mrd. € im Groß- und Einzelhandel sowie der Produktions- und Bildungsinfrastruktur investiert zu haben, davon allein 290 Mio. € im Jahr 2024.“
... dass Sie die Bebauungspläne (und etwaige Ergänzungssatzungen) der Gemeinden der Verwaltungsgemeinschaft Heßdorf (Großenseebach & Heßdorf) seit kurzem nun auch über das entsprechende bayerische Onlinesystem (bauleitplan.bayern) einsehen können?